
República Dominicana continuará experimentando lluvias y tormentas eléctricas este martes debido a los efectos indirectos del huracán Melissa. La tormenta mantiene su influencia sobre el país, causando lluvias intensas, ráfagas de viento y oleaje peligroso, especialmente en las zonas del suroeste, la cordillera Central y el sureste.
El Instituto Dominicano de Meteorología (Indomet) alertó que durante la mañana de este martes, las precipitaciones seguirán afectando provincias como Pedernales, Barahona, Azua, Bahoruco, Independencia, San Juan, San José de Ocoa, Peravia, San Cristóbal, y el Gran Santo Domingo. Además, se espera que en la tarde y noche, las lluvias se extiendan a San Pedro de Macorís, Monte Plata, Hato Mayor, Monseñor Nouel, y Sánchez Ramírez, entre otras localidades.
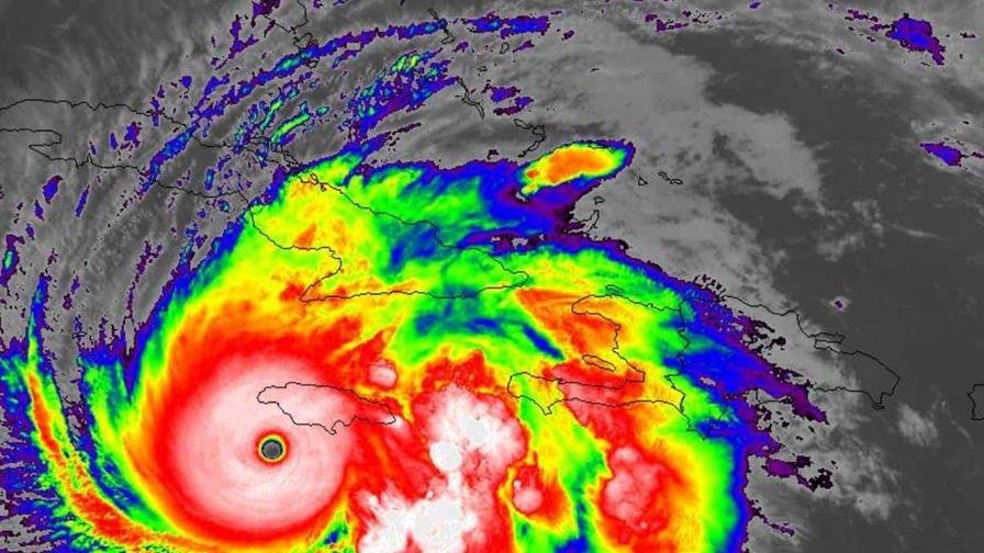
Con base en imágenes satelitales y radares de Punta Cana y Puerto Plata, las condiciones meteorológicas seguirán mayormente nubladas en gran parte del territorio dominicano, con lluvias y posibles tormentas eléctricas que afectarán especialmente la franja costera sur, el suroeste, noreste, y la vertiente sur de la cordillera central.
Condiciones Marítimas:
En la costa caribeña, particularmente desde Cabo Beata (Pedernales) hasta Punta Salinas (Baní), el Indomet recomendó a los operadores de pequeñas embarcaciones permanecer en puerto debido a los fuertes vientos y oleaje. Para la costa atlántica, desde Montecristi hasta Puerto Plata, se sugiere navegar cerca de la costa, mientras que en otras zonas de ambas costas las condiciones se mantienen normales.
El Indomet instó a la población a mantenerse alerta a los boletines oficiales y seguir las recomendaciones de los organismos de protección civil.
Evolución y Trayectoria del Huracán Melissa:
El huracán Melissa, en la categoría 5 de la escala Saffir-Simpson, se localiza actualmente a unos 180 km al oeste/suroeste de Kingston (Jamaica) y a 465 km al suroeste de Guantánamo (Cuba), moviéndose hacia el nor/noreste a 7 km/h, con vientos máximos sostenidos de 280 km/h y ráfagas superiores.
Lo Que Pasa RD — Noticias reales, sin adornos.






















